2024.10.01 15:37 臺北時間

山陀兒來勢洶洶還是要觀浪? 「高雄26人遭勸離」不聽勸最高罰25萬

mm-logo
時事
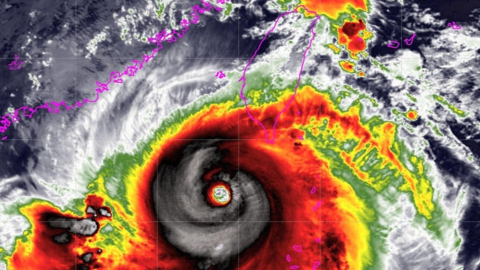
山陀兒已於今凌晨正式升格為強烈颱風,來勢洶洶。(翻攝自天氣職人吳聖宇臉書)
山陀兒已於今凌晨正式升格為強烈颱風,來勢洶洶。(翻攝自天氣職人吳聖宇臉書)
強颱「山陀兒」來勢洶洶,預計明(2日)中午將登陸高雄,由於暴風圈也於上午6時接觸高雄陸地,高雄沿岸均有長浪發生,稍早海巡署避免危害發生,加強沿海地帶巡邏守望,已勸離26名觀浪民眾;另外金馬澎分署第七岸巡隊也於各海岸及港口執行勸離作為。而若民眾不聽勸阻,最高可開罰新台幣25萬元罰鍰。
據氣象局最新預報,山陀兒明天將從南高屏一帶登陸,對高雄市區及沿海地區的影響非常大,為避免危害發生,海巡署等相關單位已加強海地帶巡邏守望。經統計,鼓山分局今至13時已勸離22件26人。
另外,由於山陀兒將影響澎湖地區,金馬澎分署第七岸巡隊於各海岸及港口執行勸離作為,避免憾事發生。同時也呼籲民眾,勿於颱風期間前往海岸管制區域戲水及觀浪,並請國人如有發現救生救難或查緝不法等海洋事務,請撥打海巡「118」報案專線通報,海巡署24小時為您服務。
依據災害防救法之相關規定,若民眾擅闖公告警戒區域經勸導不離去者,將依《災害防救法》函送主管機關,可處5萬元以上25萬元以下罰緩。
更新時間|2024.10.01 15:57 臺北時間
延伸閱讀

支持鏡週刊

小心意大意義
小額贊助鏡週刊!

每期 $35 元動態話題報導
無限閱讀解鎖新鮮事

更多內容,歡迎 鏡週刊紙本雜誌鏡週刊數位訂閱了解內容授權資訊

獨家深度分析報導

線上閱讀

更多內容,歡迎 鏡週刊紙本雜誌鏡週刊數位訂閱了解內容授權資訊

獨家深度分析報導

線上閱讀