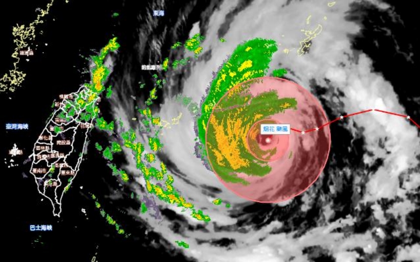
中度颱風烟花的海警正式發布,氣象局指出,其過去強度略為增強且暴風圈亦有所擴大,目前其中心在台北東南東方海面,向西移動,其暴風圈正逐漸向台灣東半部海面接近,對台灣東北部海面及東南部海面將構成威脅。
根據氣象局數據顯示,烟花在今(21日)晚間8點時,中心氣壓為950百帕,近中心最大風速每秒40公尺(約每小時144公里),相當於13級風;瞬間最大陣風每秒50公尺(約每小時180公里),相當於15級風;七級風的暴風半徑200公里,十級風暴風半徑70公里。

氣象局提醒,台灣東北部海面及東南部海面航行及作業船隻應嚴加戒備。台灣北部、東半部(含蘭嶼、綠島)、恆春半島及馬祖沿海有長浪發生;西半部、東北部、東部沿海空曠地區及澎湖、金門、馬祖易有8至9級強陣風,前往海邊活動請特別注意。
而近期適逢大潮,漲潮期間不利雨水排放,沿海低窪地區需留意積淹水;東部地區最近地震較為頻繁,山區需留意坍方和落石。



