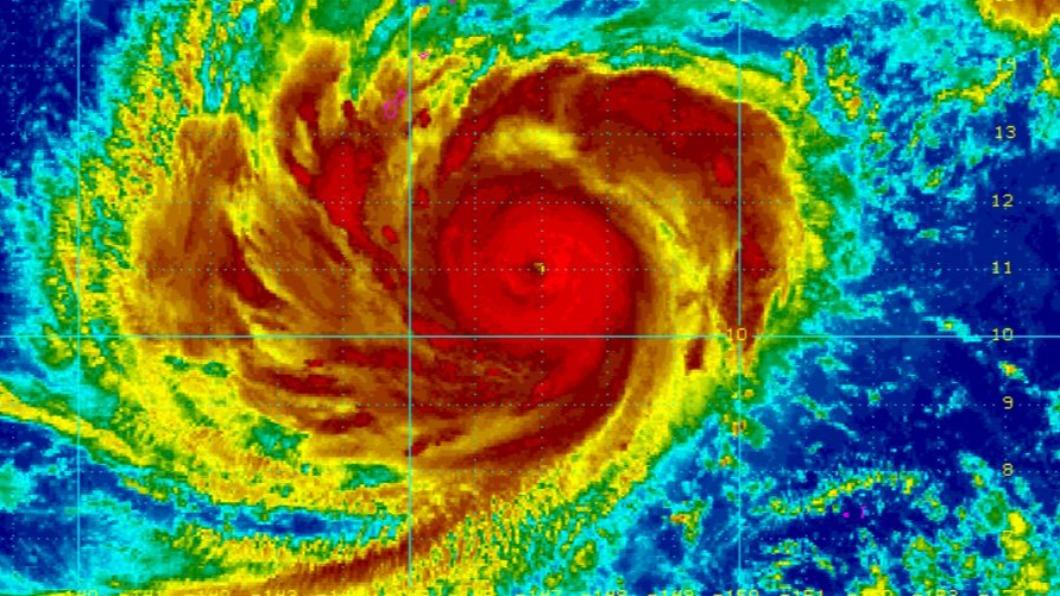
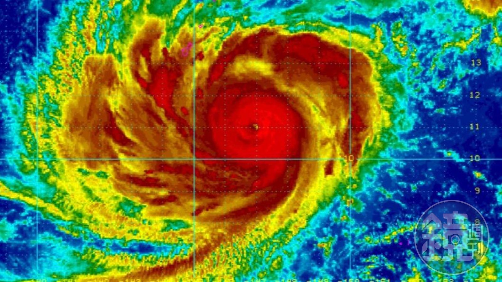
據《ABC NEWS》報導,颱風瑪娃(Typhoon Mawar)今(24日)在當地時間24日中午12時(台灣時間上午10時)挾帶致災的強風直撲關島,威力相當於4級颶風。然而當地上一次遇到威力相當於4級颶風的強烈颱風已是1976年。
據報導,瑪娃將以近中心最大風速每小時160英里(約257公里)的速度攻擊關島,威力等同5級颶風。目前關島已經發布颱風警報,而受到瑪娃影響,關島附近海域也出現高達45英尺(約13公尺)的巨浪,恐將成為關島70年來的最強颱風。 據悉1962年超級颱風凱倫重創關島,當時近中心最大風速達每小時155英里(約249公里),島上大部分的房屋都遭到摧毀。
對此, 美國總統拜登宣布,關島因為瑪娃颱風進入緊急狀態,並下令聯邦政府提供援助,支援當地進行對颱風的應對。另外,關島民防辦公室(Office of Civil Defense)也緊急建議居民立即尋求庇護,「因為關島可能會出現災難性、毀滅性的事件。」關島總督格雷羅(Lou Leon Guerrero)也於昨(23日)呼籲民眾儘快尋求保護。



