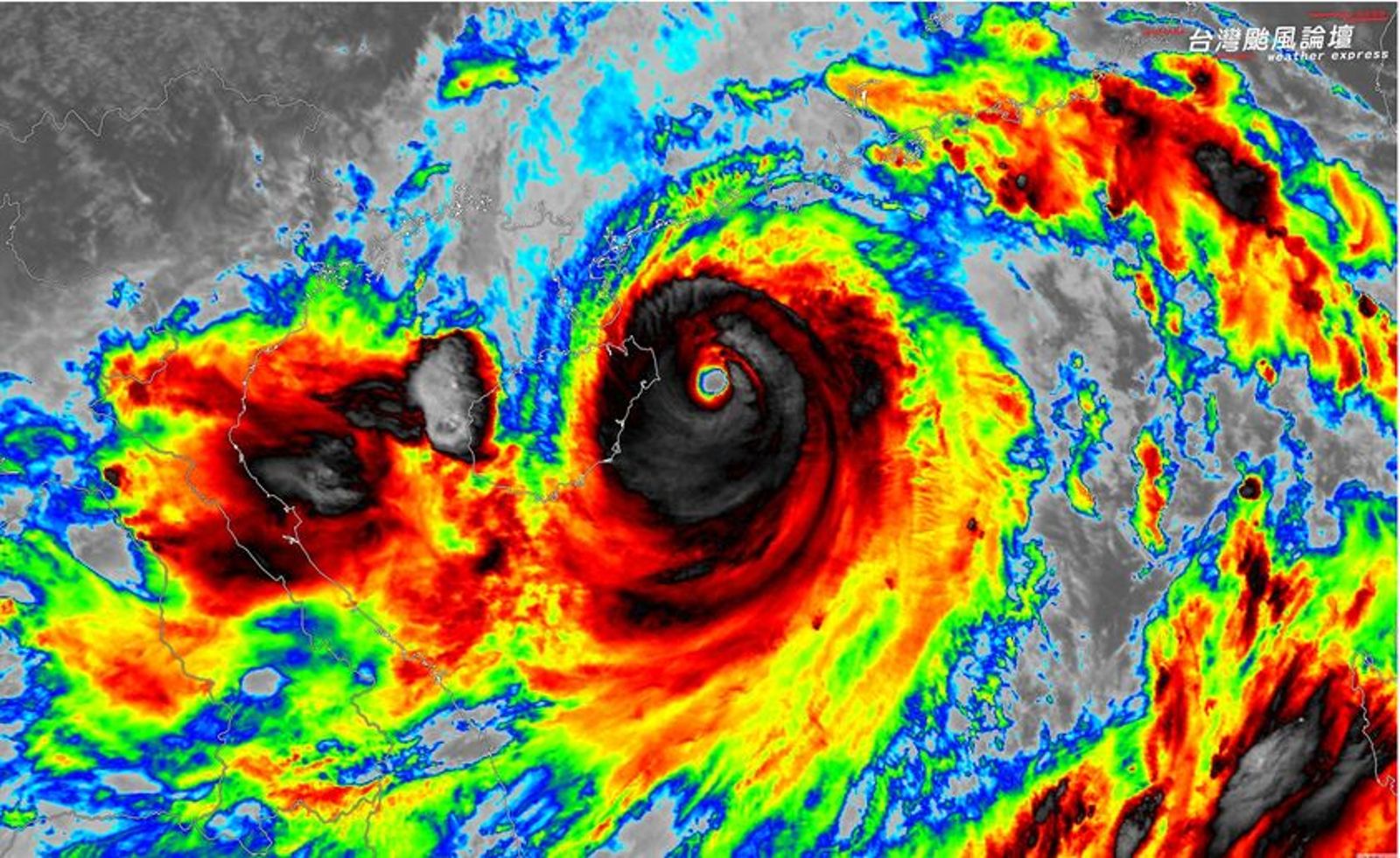
摩羯颱風生成至今強度已升5級變成強颱,颱風眼清晰,整體結構紮實又強又大,路徑距離台灣遙遠,並沒有直接影響,但預計於今日傍晚登陸中國海南島、廣東一帶。
受颱風影響,台灣直飛港澳的班機今日也有異動,部分提前與取消,長榮航空與星光航空則宣布,7日將全面停飛往返越南河內的航班。
而根據陸媒報導,海南島的3處機場已宣布5日晚間至6日航班全數取消,當地政府也提前撤離沿海的41萬餘位民眾,替防颱進行準備。
氣象粉專「台灣颱風論壇|天氣特急」則表示,摩羯颱風再度增強,靠近中心風速達到每秒58公尺,暫時成為今年度的風王。



