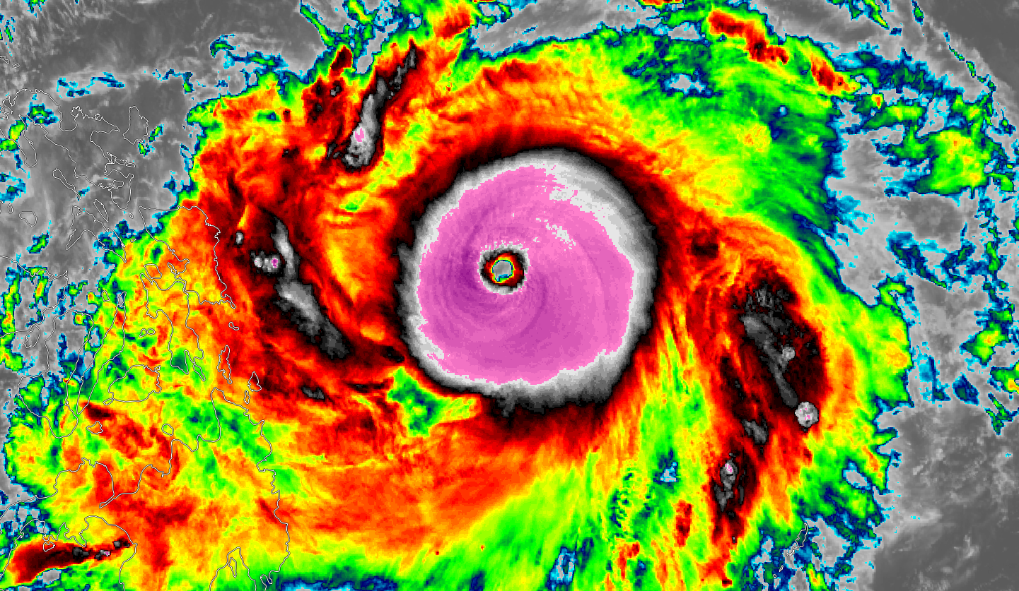
根據中央氣象局資料顯示,原本為中度颱風的舒力基,稍早已升級為強烈颱風,以每小時20公里速度,向西北西進行。由於台灣正面臨56年來最嚴峻旱象,大家都特別關注舒力基未來的動向。

天氣風險臉書粉專今po文表示,舒力基颱風還有持續增強的機會,而且4月颱風較為少見、4月強颱更是稀少,「上一個在4月升為強颱要追溯到2003年的柯吉拉颱風了。」
不過根據各國預測資料看來,天氣風險分析表示,預估舒力基颱風在菲律賓呂宋島附近就會北轉,北轉時接近呂宋島的程度仍有不小的差異,但會北轉這件事情是確定的,若要直接影響台灣的機會仍然是相當低,即便對台天氣有影響,仍僅受到颱風外圍東北或偏東風影響,在東半部帶來降雨,西半部因山脈屏障,不受影響、降雨機會低。
至於西半部何時有降雨機會,天氣風險補充表示,可能要等到下週後期颱風往東北方向遠離後,看看是否有機會將華南的中層雲雨帶往台灣這邊帶,才有一些降雨,這幾天仍得持續觀察。



