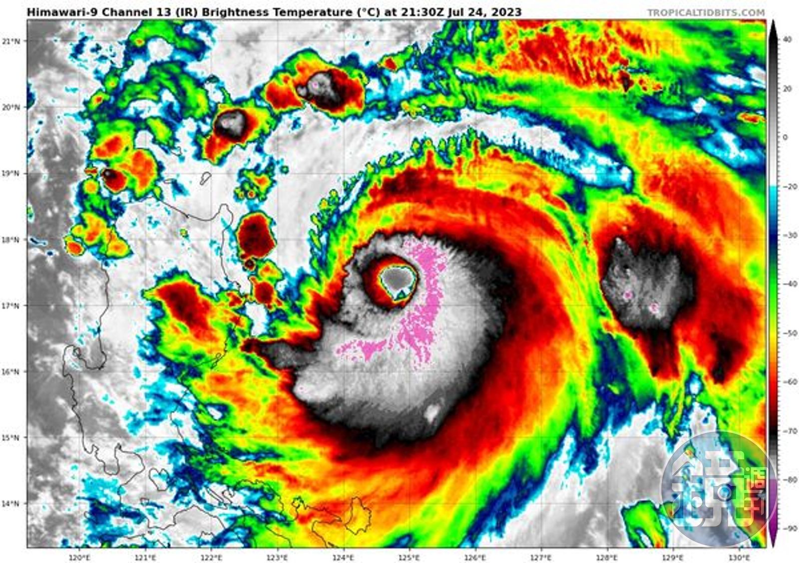
中央氣象局技正羅雅尹指出,杜蘇芮颱風眼清晰可見,今晨強度已增強達中度颱風上限,接近呂宋島海面條件有利再增強,也不排除增強為強度颱風接近呂宋島北方海面,通過巴士海峽後強度有機會稍減。 杜蘇芮颱風目前以每小時15公里速度,向西北西進行,近中心最大風速每秒48公尺(約每小時 173公里),相當於15級風,7級風平均暴風半徑280公里。
羅雅尹進一步表示,杜蘇芮颱風預計今下午2點半或5點半發布陸警,依據目前預報路徑若未有變動,最快於下午2點半發布陸上颱風警報,暴風圈估明上午接觸恆春半島陸地,且杜蘇芮今晚到明白天持續維持中颱上限到強颱,但進入台灣西南海面條件不力發展,強度會逐漸減弱。至於外界關注的颱風假機率,「台灣颱風論壇|天氣特急」粉專指出,以目前路徑研判,北部很難放颱風假。
針對是否停班停課,新竹市政府昨表示,「目前相關條件尚未滿足,以及風力、雨量標準尚未達到停班停課之參考標準,明日(25日)仍正常上班上課」。
新竹市政府說明,依天然災害停止上班及上課作業辦法,據氣象預報颱風暴風半徑於4小時內可能經過之地區,其平均風力可達7級以上或陣風可達10級以上時或未來24小時累積雨量預測達350毫米,且已致災或有致災之虞時,市府才能將依據氣象預報或實際觀測,降雨量或風力若達參考基準,據以發布停止上班及上課。



