記者陳弋/台北報導

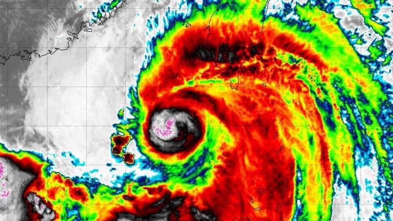
▲杜蘇芮可能正在進行眼牆置換,重整結構。(圖/擷取自氣象局網站)
颱風「杜蘇芮」持續朝台灣西南方海域前進,中央氣象局預估即起至明(28)日清晨是颱風距離台灣最近的時候,南部今天下午風雨漸增,北台灣也有機會颳10級強陣風。民間氣象公司台灣颱風論壇表示,雷達顯示颱風中心有點像「甜甜圈」,可能正在進行眼牆置換,若順利完成有機會重新增強。
根據最新觀測資料,第5號颱風杜蘇芮中心來到鵝鑾鼻西南方海面,持續向北北西移動,27日中午暴風圈已籠罩嘉義以南、東南部陸地及澎湖地區,對苗栗以南、南投、花蓮、台東、恆春半島、澎湖、金門構成威脅,各地風雨持續增強。
台灣颱風論壇27日中午發文指出,根據觀測,杜蘇芮環流結構正在組織調整、重建中,雷達也可以看到颱風中心有點像「甜甜圈」,內圈、外圈相當分明,初步判斷颱風正經歷眼牆置換的階段。因此未來幾小時颱風的定位或方向會稍微不穩定一些,但大方向還是朝西北至北北西行進,有待密切追蹤。
台灣颱風論壇提到,颱風眼牆置換過程中,強度會稍微減弱、變醜,一般情況下順利完成後會重新增強,再一次達到巔峰,只是等到杜蘇芮完成,很可能準備撞陸地了。
氣象局表示,隨著颱風中心逐漸移動到西南側海面,27日下午至晚間,南部風雨將明顯增加,入夜至凌晨颱風往金門、澎湖方向移動,離島雨勢將逐漸加大。
更多三立新聞網報導
. 「無糖鮮奶茶」還是有糖 營養師:鮮奶本身有「乳糖」
. 晚上看路燈有「彩虹圈」 熟女青光眼上身「視力悄悄流失」
. 郭台銘「過度政治熱衷」 謝金河批「毫無台灣心」:我非常不以為然
. 冷氣只會愈來愈多!科學家警告「明年更熱」:不能只怪聖嬰現象


