生活中心/柯美儀報導

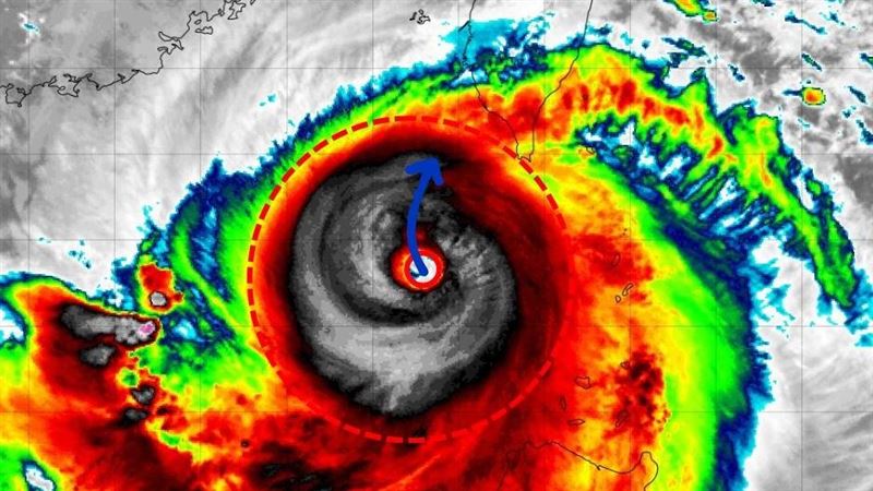
▲山陀兒颱風眼渾圓銳利,顯見眼牆附近會很暴力。(圖/翻攝自觀氣象看天氣 臉書)
今年第18號颱風「山陀兒」已增強為強烈颱風,預估週三(2日)下午可能靠近高屏沿海登陸,屆時暴風圈將影響全台。氣象粉專指出,從雲圖上可以看出颱風眼變得渾圓銳利,顯見眼牆附近會很暴力。不過,好消息是未來受乾空氣影響,強度有機會稍微減弱。
氣象粉專「觀氣象看天氣」在臉書發文表示,清晨氣象署已將山陀兒升格強颱,中心風速來到每秒55公尺,7級暴風圈也來到220公里,從雲圖上可以看出颱風眼變得渾圓銳利,整體環流變得十分厚實,顯見眼牆附近會很暴力。
觀氣象看天氣指出,好消息是未來受乾空氣影響,西北側環流有機會捲入乾空氣,強度有機會稍微減弱,但仍有機會以高強度侵襲,登陸時間點預估稍稍延後,在週三中午附近。提醒高屏沿海留意颱風所帶來的暴潮。
氣象署表示,根據最新資料顯示,「山陀兒」颱風中心目前在高雄南南西方海面,向北轉北北東緩慢移動,其暴風圈已接觸恆春半島、屏東、台東及高雄陸地。目前陸警範圍包括:雲林、嘉義、台南、高雄、屏東、恆春半島、花蓮、台東、澎湖。
更多三立新聞網報導
. 山陀兒一夜「幾乎沒動」!明撞進南部 氣象署:特別擔心
. 皮帶打洞 店家喊「1洞1000元」她嚇傻!內行揭原因:很合理
. 玩情色擦邊球?學校旁開「校媛麻辣燙」挨轟 老闆喊冤
. 摩斯漢堡爆虧損「評估漲價」!公司面臨2大衝擊


