編譯黃馨慧/綜合報導
2025年東太平洋颶風季第一個強烈颶風「艾瑞克」(Hurricane Erick)正從墨西哥南岸登陸。專家預測,艾瑞克颶風很可能成為今年東太平洋颶風季初期登陸墨西哥一帶的最強風暴,受影響最嚴重的地區預計是墨西哥海岸阿卡普爾科西南方。艾瑞克從成形到發展成強烈颶風只用了24小時,成長速度非常快。科學家指出,這和全球暖化造成海水溫度變高有關,導致民眾以後的預先防災時間將變得更少。

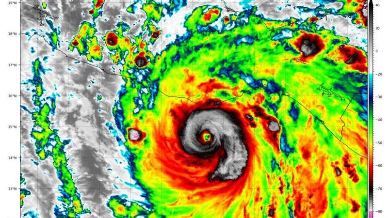
▲本季首個強烈颶風艾瑞克,受影響最嚴重的地區預計是墨西哥海岸阿卡普爾科西南方。(圖/翻攝自美國國家颶風中心官網)
氣象預測指出,艾瑞克可能會非常靠近阿卡普爾科,並帶來強風、停電、暴雨、山洪暴發或是洪水等災害,受影響最嚴重的地區預計是墨西哥海岸阿卡普爾科西南方向更遠的地方。
美國氣象預報媒體AccuWeather 的氣象團隊預測,艾瑞克還會持續迅速增強,在當地時間19日清晨達最大強度。在艾瑞克颶風登陸之前,墨西哥阿卡普爾科沿岸的民眾已經做好防災準備,把附近的船隻都先拖離水面,轉移至附近的曼薩尼約(Manzanillo)海灘,以防止風暴造成破壞。
美聯社報導,艾瑞克颶風17日成形,僅過了24小時就增強成強烈颶風。專家指出,艾瑞克登陸之後,很可能成為東太平洋颶風季這一季初期登陸墨西哥一帶的最強風暴。邁阿密大學的颶風研究人員麥諾迪(Brian McNoldy)表示,這已經是東太平洋颶風季一個月以來第五次登陸,比往年略顯活躍。通常情況下,東太平洋地區的第一個颶風會到6月下旬才出現,第5個風暴則出現在7月中。
已有多項研究表明,近年來颶風在短時間內迅速增強的次數、降雨量更大、移動速度更慢等變化,都和人類發展所導致的全球暖化有關。美聯社報導指出,從長期趨勢來看,海水溫度上升是影響颶風在短時間內迅速增的關鍵因素。氣象專家馬斯特斯(Jeff Masters)說:「如果睡前聽到墨西哥灣還只是一場熱帶風暴,醒來它卻變成一個即將登陸的四級颶風,那民眾根本沒有時間撤離。這是一個非常令人擔憂的趨勢。」
掌握全球脈動、深入觀點分析,訂閱一鍵看世界SET Global
更多三立新聞網報導
. 川普處理以伊、烏俄衝突態度轉變!釋放訊號 醫點1關鍵:對台灣是好事
. 大橋造價破14億!固定用螺絲「遭屁孩徒手拆掉」
. 《華爾街日報》爆:川普已批准「攻擊伊朗」!等待最終命令
. 伊朗的大驚喜?疑射「80枚彈頭」飛彈 神祕軌跡劃破天際影片曝



