生活中心/施郁韻報導

強颱樺加沙(RAGASA)持續逼近中,暴風半徑也會擴大。中央氣象署發布海上、陸上颱風警報,對台東、屏東、恆春半島及高雄將構成威脅,今明影響臺灣最大。今(22)日停班停課最新消息,《三立新聞網》帶您一次掌握。
氣象署表示,受到颱風外圍環流影響,今晨至上午蘭嶼、綠島有局部大雨或豪雨,宜蘭縣、花蓮縣、及基隆北海岸有局部大雨發生的機率,今日下午起宜蘭縣山區、花蓮縣山區、新北市山區、恆春半島及蘭嶼、綠島有局部大雨或豪雨發生的機率,東半部、大臺北、屏東地區及桃園、臺中、南投、高雄山區有局部大雨發生的機率,請注意雷擊及強陣風,山區慎防坍方及落石,低窪地區請慎防積淹水。

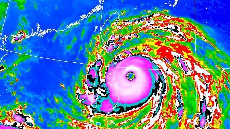
根據氣象署最新資料顯示,強烈颱風樺加沙中心目前在鵝鑾鼻東南方海面,向西進行,對臺東、屏東、恆春半島及高雄將構成威脅,此颱風未來強度仍有稍增強且暴風圈有稍擴大的趨勢。
全台各縣市22日停班、停課狀況一覽:
【北部地區】
●基隆市:尚未列入警戒區。
●台北市:尚未列入警戒區。
●新北市:尚未列入警戒區。
●桃園市:尚未列入警戒區。
●新竹市:尚未列入警戒區,22日正常上班上課。
●新竹縣:尚未列入警戒區。
【中部地區】
●苗栗縣:尚未列入警戒區,22日正常上班上課。
●台中市:尚未列入警戒區,22日正常上班上課
●彰化縣:尚未列入警戒區,22日正常上班上課。
●雲林縣:尚未列入警戒區,22日正常上班上課。
●南投縣:尚未列入警戒區,22日正常上班上課。
【南部地區】
●嘉義市:22日正常上班上課。
●嘉義縣:尚未列入警戒區。
●台南市:22日正常上班上課。
●高雄市:22日正常上班上課。
●屏東縣:枋山鄉、車城鄉、恆春鎮、獅子鄉、牡丹鄉、滿州鄉等6鄉鎮停班停課。
【東部、外島地區】
●宜蘭縣:尚未列入警戒區。
●花蓮縣:馬太鞍溪堰塞湖保全戶今日停班停課,保全範圍學校(光復國中、光復國小、太巴塱國小)停班停課,其餘22日正常上班上課。
●台東縣:蘭嶼鄉、綠島鄉今日停班停課,其餘正常上班上課。
●連江縣:尚未列入警戒區。
●澎湖縣:尚未列入警戒區。
●金門縣:尚未列入警戒區。
根據《天然災害停止上班及上課作業辦法規定》,氣象預報颱風暴風半徑於四小時內可能經過之地區,其「平均風力可達7級以上」或「陣風可達10級以上」時,或未來24小時累積雨量預測達「平地350毫米,山區200毫米」(部分縣市不分平地、山區均為350毫米),且已致災或有致災之虞時,達到停班停課標準。實際停班課消息仍由各縣市政府宣布。
更多三立新聞網報導
. 黃偉哲凌晨發文「大頭貼遭盜用」發台南停班停課! 市刑大展開調查
. 罕見奇蹟照!沖繩與那國島「肉眼見中央山脈」 網直呼:台灣比想像還大
. 陸客遊日見掛滿台灣國旗!怒逼店家撤下 老闆1舉動網讚爆:想朝聖打卡
. 桃園豪宅保全帥翻!值勤照網瘋傳 本尊回應了IG被神出是「天菜排長」



