生活中心/施郁韻報導

強颱樺加沙(RAGASA)持續逼近,中央氣象署持續發布海上、陸上颱風警報,對台東、屏東、恆春半島及高雄將構成威脅,今明影響臺灣最大。根據氣象署清晨最新風雨預報資料,預測今(22)日中午起,共10縣市風力達停班課標準。
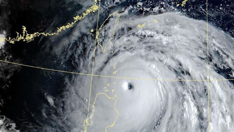
樺加沙升級強颱並搶下「風王」寶座,氣象署表示,受到颱風外圍環流影響,今晨至上午蘭嶼、綠島有局部大雨或豪雨,宜蘭縣、花蓮縣、及基隆北海岸有局部大雨發生的機率,今日下午起宜蘭縣山區、花蓮縣山區、新北市山區、恆春半島及蘭嶼、綠島有局部大雨或豪雨發生的機率,東半部、大臺北、屏東地區及桃園、臺中、南投、高雄山區有局部大雨發生的機率,請注意雷擊及強陣風,山區慎防坍方及落石,低窪地區請慎防積淹水。
根據氣象署最新資料顯示,強烈颱風樺加沙中心目前在鵝鑾鼻東南方海面,向西進行,對臺東、屏東、恆春半島及高雄將構成威脅,此颱風未來強度仍有稍增強且暴風圈有稍擴大的趨勢。

透過最新風力預測可見,桃園市(濱海鄉鎮)、新竹市(濱海鄉鎮)、新竹縣(濱海鄉鎮)、苗栗縣(濱海鄉鎮)、台中市(濱海鄉鎮)、恆春半島、台東縣(濱海鄉鎮)、蘭嶼、綠島、連江縣、金門縣、澎湖縣,今日中午12時至晚間6時,已達平均風力7級以上或陣風10級以上之停班課標準。
至於颱風假,依《天然災害停止上班及上課作業辦法》規定,停班課標準為颱風暴風半徑於4小時內可能經過之地區,其平均風力達7級以上或陣風可達10級以上,或未來24小時累積雨量預測山區達200毫米、平地350毫米。
更多三立新聞網報導
. 罕見奇蹟照!沖繩與那國島「肉眼見中央山脈」 網直呼:台灣比想像還大
. 有婦幼識別證「少做關鍵1動作」!停車收600元罰單 一票網長知識
. 大家都做錯!在Google找到便宜機票一神招 專家曝:千萬別填1資料
. 「射精完去尿尿or忍住?」泌尿醫分析片超專業 網長知識:解開15年疑惑



