記者蔣季容/台北報導

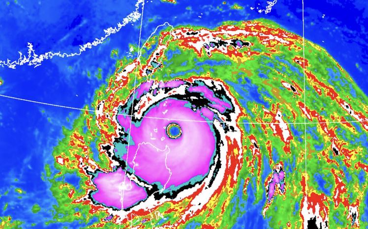
強颱樺加沙逼近,中央氣象署持續發布海上、陸上颱風警報,對台東、屏東、恆春半島及高雄將構成威脅,外界關注明(23)日是否停班停課,根據氣象署今日10時風雨預報顯示,明日0時至6時共9縣市達標。
根據氣象署23日00時至23日06時風雨預報,風力部分,達標的有桃園市濱海鄉鎮、新竹市濱海鄉鎮、新竹縣濱海鄉鎮、苗栗縣濱海鄉鎮、恆春半島、台東縣濱海鄉鎮、蘭嶼綠島、連江縣、金門縣。
雨量部分,達標的有花蓮縣山區、台東縣山區。
根據《天然災害停止上班及上課作業辦法規定》,氣象預報颱風暴風半徑於四小時內可能經過之地區,其「平均風力可達7級以上」或「陣風可達10級以上」時,或未來24小時累積雨量預測達「平地350毫米,山區200毫米」(部分縣市不分平地、山區均為350毫米),且已致災或有致災之虞時,達到停班停課標準。不過實際停班課消息仍由各縣市政府宣布。
更多三立新聞網報導
. 樺加沙恐再增強!最快「中午前觸陸」最新路徑出爐 6地迎豪雨
. 喝咖啡別碰這5樣東西!醫曝2地雷「癌細胞爬上身」
. 女患肝癌「體內化學物質」超標!家裡不沾鍋害的 醫:飲用水也藏風險
. 鈣含量是肉的80倍!醫揭「1便宜蔬菜」被低估 還能抗癌、延緩老化



