生活中心/彭淇昀報導
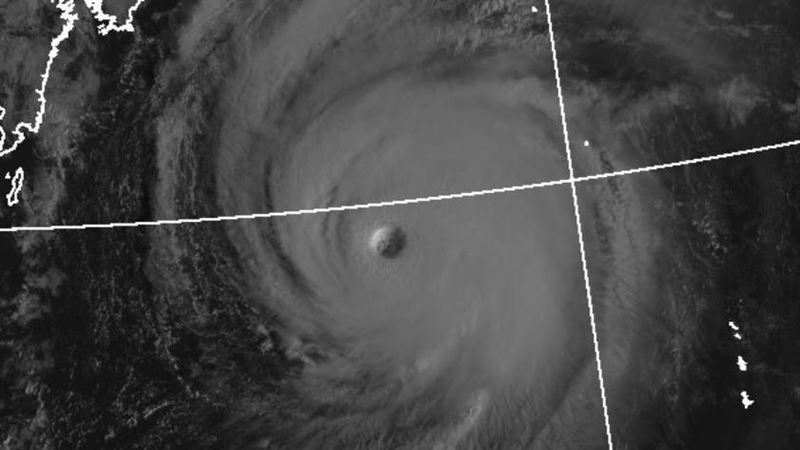
中度颱風哈隆今(8)日凌晨2時中心位置在北緯28.8度,東經136.9度,以每小時15公里速度,向北進行。前中央氣象局長鄭明典PO出一張衛星雲圖,表示「這樣的雲型大約是中颱上限或強颱下限」。

鄭明典在臉書PO出一張「哈隆颱風」的衛星雲圖,表示「很像『颱風符號』!這是哈隆颱風,這樣的雲型大約是中颱上限或強颱下限。這樣的結構,上方和下方各有外延的雲系,很像我們常用的颱風符號!」
鄭明典表示,颱風既狂暴危險,卻又帶有一種特殊美感,很多人對氣象的喜好是來自對颱風的著迷。
氣象專家吳德榮表示,「中颱哈隆」已有清晰的颱風眼及厚實的眼牆,被估為近中心平均風速48米/秒,直逼強颱門檻(51米/秒)。最新路徑潛勢預測圖顯示,「哈隆」將增強至「強烈」,在日本南方海面向東北東大迴轉,侵襲日本本土的機率並不高;距離台灣遙遠,無影響。
更多三立新聞網報導
. 花蓮5.0地震16縣市有感!氣象署判獨立事件 3天內防規模4.5餘震
. 要變天了!「有一波猛的」氣溫驟降 預測時間曝光
. 2026共9個連假!過年請4天「爽放16天」 請假攻略一次看
. 1年來台8次!德國護理師喊「踏出桃機就震驚」:做牛做馬也要留在台灣



