生活中心/施郁韻報導

第19號颱風「浣熊」迅速增強,升級為今年第一個強烈颱風,由於距離台灣及日本都相當遙遠,短期內對台灣天氣無直接影響。中央氣象署預估,中颱樺加沙接近台灣時強度將達強烈颱風,週一晚上至週二是影響臺灣天氣最明顯的時候。
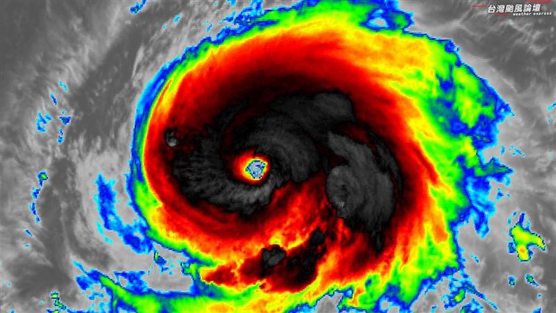
氣象署資料顯示,颱風「浣熊」21日2時的中心位置在北緯26.8度,東經153.8度,以每小時18公里速度,向西北西進行。中心氣壓945百帕,近中心最大風速每秒51公尺,瞬間最大陣風每秒63公尺,七級風平均暴風半徑200公里(西北側200公里、東北側220公里、西南側180公里、東南側200公里),十級風平均暴風半徑100公里(西北側100公里、東北側100公里、西南側100公里、東南側100公里)。
氣象署表示,中颱樺加沙(RAGASA),20日晚上8時位於鵝鑾鼻東南東方950公里的海面上,向西北西朝巴士海峽前進,未來強度會持續增強,暴風半徑也逐漸擴大,預估接近臺灣時強度將達強烈颱風,週一晚上至週二是影響臺灣天氣最明顯的時候。

氣象署提到,今日受樺加沙颱風外圍雲系影響,基隆北海岸、大臺北及宜、花地區有局部短暫陣雨,桃園及臺東地區有零星短暫陣雨,其他地區為多雲到晴,午後中南部地區有局部短暫雷陣雨,嘉義以南地區有局部大雨發生的機率,清晨中部以北沿海地區有零星短暫陣雨。
氣象署表示,溫度方面,各地高溫普遍為32至35度,其中北部地區受颱風外圍環流沉降增溫影響,有局部焚風發生的機率,局部高溫可達36度或37度,戶外活動請注意防曬並多補充水分;至於澎湖晴時多雲,27至32度;金門晴時多雲,26至33度;馬祖陰時多雲短暫陣雨26至32度。
更多三立新聞網報導
. 罕見奇蹟照!沖繩與那國島「肉眼見中央山脈」 網直呼:台灣比想像還大
. 有婦幼識別證「少做關鍵1動作」!停車收600元罰單 一票網長知識
. 921鬼門關別說「再見」!廖大乙曝禁忌:這1生肖最慘、逢49變數大
. 好友遭砍30多刀慘亡!交往細節曝 她批17歲少年:整天跑廟會的死軟飯男



