生活中心/張尚辰報導

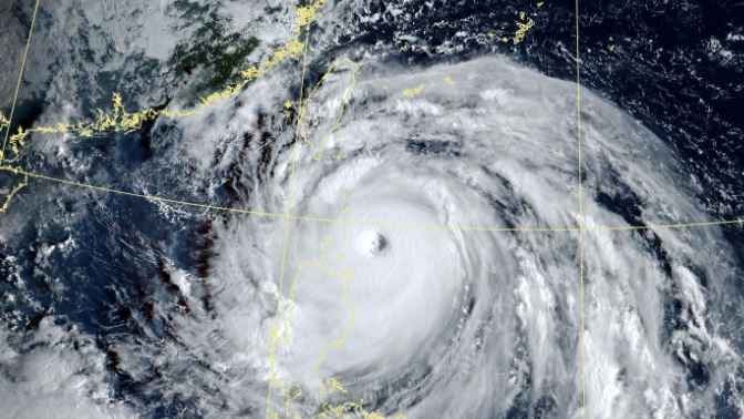
強颱樺加沙(RAGASA)持續逼近中,氣象粉專「台灣颱風論壇|天氣特級急」貼出全台的風雨時程,表示這次閃過的不是普通強颱,而是「2025最強颱風」,根本是「颱風界年度MVP候選」。另外,台灣颱風論壇也提醒東半部及恆春半島,會受外圍環流影響最為嚴重,強風豪雨會非常明顯;北北基因為外圍環流加上地形加成,會有很強的風及陣雨不斷。
台灣颱風論壇昨(21)日晚間在Threads上發文,指出這次這次閃過台灣的不是普通的強颱,而是2025最強颱風,還外掛320公里的巨型暴風圈半徑,「樺加沙差不多是颱風界年度MVP候選,這樣的怪物只有擦邊閃過台灣,真的是運氣爆棚」。
台灣颱風論壇提醒,這次受影響最有感的是東半部及恆春半島,除了不斷被外圍環流洗臉之外,強風豪雨也會非常明顯,根據發出的風雨時程全攻略可以看到,東半部及恆春半島「一片紫」。
至於北北基的部分,台灣颱風論壇說,外圍環流加上地形加成,會有很強的風,加上陣雨不斷,「其他地方就好多了,山脈扛下所有,但沿海強風還是很有感的」。
更多三立新聞網報導
. 她每天洗澡75分鐘!「七流程」遭男友嫌太久 掀兩派網友熱議
. 臉色越來越蠟黃!醫曝恐是「1疾病」前兆 示警:4症狀快就醫
. 照超音波意外揪「2公分肝癌」!醫曝1高危族群:要定期追蹤
. 果粉別急!業者曝iPhone 17「最快降價時機」 這時買最划算



