生活中心/黃依婷報導

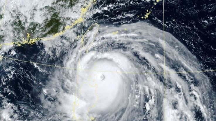
今年第18號颱風樺加沙在昨日升級為強烈颱風,今(22)日2時的中心位置在北緯19.1度,東經124.2度,以每小時23公里速度,向西進行。對此,前氣象局長鄭明典也提到,如今樺加沙似乎已經到達顛峰,且強度達到颱風聯合警報中心「超級颱風」的標準。
鄭明典發文,第18號颱風樺加沙,從過去雲型變化和所在位置判斷,現在的強度應該已達顛峰,強度達到颱風聯合警報中心「超級颱風」的標準,需要密切注意動向。
中央氣象署也指出,颱風中心今、明兩天將通過巴士海峽及東沙島海面,暴風圈預計今天上午開始會逐漸接觸到蘭嶼、恆春半島、臺東及高屏地區,基隆北海岸、宜蘭及花蓮雖然不在暴風圈內,但由於颱風外圍環流寬廣,雨勢也會很明顯,今天到週三清晨是影響最明顯的時候。
氣象署提到,上午起臺灣東南部海面及臺灣海峽北部平均風力將增強至8到9級,最大陣風11級;下午起臺灣海峽南部平均風力將增強至7到8級,最大陣風10級。明晨起臺灣海峽南部平均風力將再增強至9到10級,最大陣風12級,船隻請嚴加戒備,明日臺灣東南部海面平均風力將稍減弱。
更多三立新聞網報導
. 樺加沙被列「怪物等級」強度恐再增強!更兇猛降雨時段曝光
. 中和小姊弟找到了!發文求協尋「見疑點」 家長回應了
. 陳沂酸陳匡怡「年紀不適合當公主了」!本人現身互槓:博眼球要適可而止
. 公館圓環拆除將失1功能!她爆塞車會更嚴重:老信義人閉眼都知道會發生



