生活中心/朱祖儀報導

強颱「樺加沙」強度已達巔峰,今(22)日晚上將掃過台灣南部,目前其位置在鵝鑾鼻南方海面,向西北西前進,其暴風圈已進入台東、恆春半島及屏東。中央氣象署科長林伯東表示,現在就是樺加沙最接近台灣的時刻,東半部、北部及高屏地區都受到對流影響,容易出現短延時強降雨,明日清晨降雨還會進一步增強。不過明日上午樺加沙颱風暴風圈就會逐漸遠離,預計明天中午解除陸警、明天晚上解除海警。
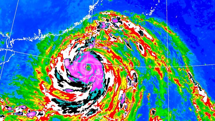
林伯東表示,樺加沙目前中心位置在鵝鑾鼻南方約270公里處,中心氣壓900百怕,近中心最大風速每秒58公尺(約每小時209公里),相當於17級風,正以每小時20公里速度,向西北西方向前進,氣象署持續發布海上、陸上颱風警報。
陸上警報:台東、恆春半島、屏東及高雄地區應嚴加戒備。
海上警戒:台灣海峽、台灣東南部海面、巴士海峽、東沙島海面航行及作業船隻應嚴加戒備。
降雨警戒:花蓮縣。
林伯東表示,目前是樺加沙颱風距離台灣最近的時候,過去一段時間,其中心結構經過一番調整,未來樺加沙的強度還是能夠持續一段時間,要一直到進入南海之後才會逐漸減弱。林伯東指出,從雷達回波圖來看,也能發現目前颱風外圍環流雲系正在逐漸影響台灣,尤其整個東半部、北部以及屏東高雄區域,基本上都受到對流影響,這些對流影響的時候,會出現短延時強降雨。
林伯東表示,過去1小時,基本上宜蘭、花蓮、台東區域每小時都有20到40毫米雨量,過去一個小時最大雨量在花蓮縣卓溪鄉40.5毫米,未來短期雨量預測,今晚8時至11時,花蓮、台東、宜蘭可能來到50至70毫米,其他地區平均來說也有20至40毫米,明天清晨降雨會進一步增強,在花東的山區都有可能出現70至90毫米,甚至90至110毫米累積雨量。

目前氣象署也持續發布豪大雨特報,花蓮縣山區及台東縣山區雨量恐達到超大豪雨等級,花蓮縣平地、台東縣平地、高雄山區及屏東山區將出現大豪雨等級降雨,宜蘭、恆春半島、蘭嶼、綠島以及桃園山區,稍晚可能新北市山區都有可能達到豪雨警戒,民眾一定要特別留意。不過氣象署預估,最快明天上午本島就會脫離暴風圈,預計明天中午解除陸警、明天晚上解除海警。
更多三立新聞網報導
. 存1000萬「瞬間只剩3位數」!她怨:台灣生存成本太高 全場炸鍋
. 樺加沙還沒走…恐又有新颱風 「博羅依」週四生成 最新路徑曝光
. 她冷氣每天吹7小時!超狂電費「只要198元」 省電絕招曝光
. 被小五數學「861÷4」難倒!爸爸急求救 全場解答嘆:令人難過



