記者李鴻典/台北報導
氣象署說,強烈颱風樺加沙今(23)日8時的中心位置在北緯19.9度,東經118.3度,即在鵝鑾鼻的西南方約350公里之處,以每小時20公里速度,向西北西進行。

根據最新資料顯示,第18號颱風過去3小時強度略為減弱,中心目前在鵝鑾鼻西南方海面,向西北西進行,恆春半島已脫離其暴風圈,對臺灣海峽、巴士海峽及東沙島海面仍構成威脅。
降雨警戒:花蓮縣、臺東縣。
海上警戒:臺灣海峽、巴士海峽、東沙島海面航行及作業船隻應嚴加戒備。
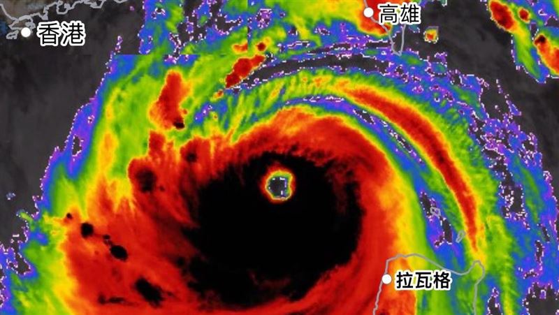
氣象粉專「用事實說颱風」則是貼圖發文表示,【怪物颱風重創菲律賓 今晚將前往港澳】、【香港天文台有機會改掛10號風球】。
「用事實說颱風」說明,最強影響時間已過;午後雨勢減緩,今日北部、西部沿岸風勢持續;這週不建議前往海邊活動;山區留意午後雷陣雨。
「用事實說颱風」也直呼,還是想說:台灣有超過3/4的地方根本沒進入暴風圈,真的還好沒有直撲,想像一下那坨黑色的如果進入陸地…
更多三立新聞網報導
. 普發1萬增設「拒領」選項?吳思瑤:負面政策快改!擾民「多此一舉」
. 黃帝穎律師:李文娟作證是否實際掌控木可有三大關鍵,影響與柯共犯程度
. 一車5少年4死!15歲倖存者姊護航「弟被通緝才跑」全網怒了
. 陳沂噴隋棠老哏情勒法、覆蓋慈善卡:有錢捐款,沒錢繳管理費嗎?



