記者陳韋帆/台北報導

裝修詐騙又一樁!台北市文山區林姓屋主114年5月委託郭姓包商整修廚房浴廁,除支付16萬元工程款外,更誤信對方家人生病急需周轉的謊言借出25萬元,總計被騙走41萬元,郭男施工進度不斷延宕,最後在7月底神隱失蹤,林男追查發現對方僅為包工頭且私蓋公司章,憤而提告詐欺。住保會提醒,估價單不具正式契約效力,應採取住保履約,避免淪為裝修蟑螂捲款逃跑的受害者。
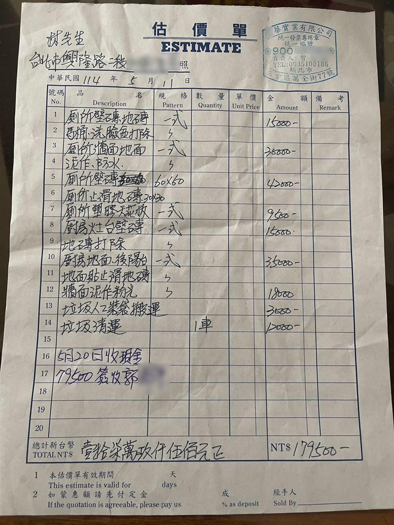
根據林姓屋主提供資料,工程估價單總款179,500元,已匯款16萬元工程費,郭男還加碼,自7月5日至7月18日分4次借款,共借貸25萬,總計損失金額達41萬元,雖然有郭男簽署的29萬元本票作為履約擔保,但事後驚覺郭男是包工頭,非公司負責人,且受害對象包含屋主及多名材料商,林姓屋主認為已遇到裝修蟑螂,故爆料媒體,盼望不要再有下一個受害者。


林姓屋主表示,當時家裡浴廁需要裝修,見到鄰居家施工狀況良好,決定與郭男洽談,而洽談過程,郭男為取信屋主,特意帶其前往其他工地視察,宣稱月底收錢後即可還款,並簽下29萬元的本票,材料進場不久、連動工都還沒開始,郭男便以兄長住院等理由,4次借錢,因為心軟也擔心影響工程進度,便將錢借給郭男,誰知道郭男先工程擺爛,只有貼磁磚,然後最後直接失蹤,才驚覺上當。
他說,「我到他估價單上的公司去對質,才發現郭男根本只是包工頭,公司則稱那是郭男私蓋發票章,與公司完全無關,後來工程的料商、工班也陸續到我這邊找郭男,說郭男欠他們薪水,竟然不只自己一人受害,回頭去問當初裝修的鄰居,才知道當時他也有向鄰居借錢,但鄰居直接拒絕了!現在只希望不要再有人上當。」
住保會公益律師房彥輝指出,許多屋主誤以為估價單蓋上章就是契約,事實上估價單僅為報價意思表示。建議屋主必須簽署正式裝修合約,明定工期並採階段性付款。針對本案,若郭男在法律認定上屬於公司的受僱人或代理人,公司仍須負連帶賠償責任。此外,若包商收錢後完全無施工意思且神隱,已涉犯刑法詐欺罪,檢警應依法究辦。
住保會顧問吳翃毅提醒,裝修蟑螂常用一式計價等籠統方式製作估價單,未標明材料品牌與尺寸,隨後藉故追加款項。針對此類亂象,建議消費者應採用住保履約,將價金交由銀行信託保管,專款專用且驗收完成才撥款。這不僅能防範包商捲走這類高達41萬元的鉅款跑路,更能確保工程品質。面對包商藉故借錢或超收預付款時應提高警覺,切莫因擔心工期而陷入無止盡的資金黑洞。
更多三立新聞網報導
. 229億沒人要?當心收歸國有!繼承者們快現身 新北1.3萬筆土地急尋主人
. 獨家/能源危機石油飆漲!買房可抗通膨?章定煊曝兩大關鍵:選對才有用
. 獨家/城中城大火還在燒!鐵門之亂慢火燉全台 民怨才剛換門6萬打水漂
. 快遞物流運費漲聲響起?DHL1月早已調整 其他人跟漲?大榮、黑貓這樣說



