生活中心/黃韻璇報導
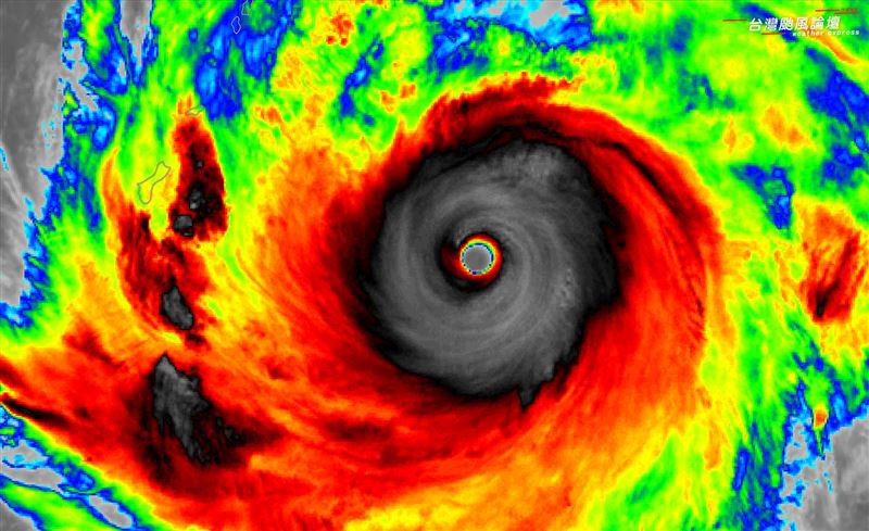
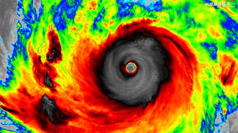
第4號強烈颱風「辛樂克」(國際命名SINLAKU),在關島東方海面向北北西進行,其強度已經達巔峰,登頂今年風王,衛星雲圖中也可以看到清晰颱風眼,讓專家驚訝的是,「辛樂克」巔峰狀態維持時間相當長,未來辛樂克颱風將在日本南方海面「大迴轉」,距臺灣及日本皆相當遠。
據中央氣象署資料,辛樂克颱風中心氣壓895百帕,14日2時的中心位置在北緯13.7度,東經147度,即在關島東方240公里之海面上(鵝鑾鼻東南東方2910公里之海面上),以每小時8公里速度,向北北西進行,中心附近最大風速每秒60公尺(即每小時216公里),相當於17級風以上,瞬間最大陣風每秒75公尺(即每小時270公里),相當於17級風以上,7級風暴風半徑350公里,10級風暴風半徑180公里,預測15日2時的中心位置在北緯15.4度,東經145.9度,即在關島北北東方250公里之海面上(鵝鑾鼻東方2730公里之海面上)。

目前辛樂克颱風的強度已經達到巔峰,氣象粉專「台灣颱風論壇|天氣特急」指出,辛樂克維持巔峰狀態好長一段時間,很不簡單,從粉專貼出的衛星雲圖也可以看到,其颱風眼相當清晰。
氣象專家吳德榮在「洩天機教室」專欄中指出,中央氣象署14日2時最新資料顯示,第4號強烈颱風「辛樂克」,在關島東方海面向北北西進行;正如同、最新(13日20時歐洲(ECMWF)系集模式模擬,其未來將在日本南方海面「大迴轉」,距臺灣及日本皆相當遠,雖為1989年「安迪」之後、最強4月颱,但路徑不侵臺,與氣候資料相符合。
更多三立新聞網報導
. 李貞秀遭開除黨籍!他「1句話神翻譯」曝民眾黨狠招 萬人笑:被仙人跳
. 新北變天?蘇巧慧民調只輸1% 黃暐瀚曝「2變數」:對李四川不是好消息
. 英國男轟中國食物「像屎」!小粉紅氣炸出征 台灣網友笑:這局挺中國
. 網紅寺廟參拜穿內衣!香爐前露半球拍照 1行為網氣炸:神看到你都搖頭



